
Coral Restoration in Raja Ampat (2018–2023)
We worked to protect and restore the amazing marine ecosystems of Raja Ampat, Indonesia. Wide Open Projects has since been dissolved, but this page preserves the impact made with local communities and conservation partners.
Our Mission
We strived to provide local communities with resources, skills, and partnerships that supported education, conservation, and community development in Raja Ampat. Our mission guided every project we completed from 2018–2022.





Coral Restoration Efforts
A diverse ecosystem
The coral reefs of Raja Ampat, located in the province of West Papua in eastern Indonesia, are home to an incredible diversity of marine life and support the livelihoods of thousands of people in this region. Here, communities rely heavily on fishing and local tradition encourages sustainability and ecosystem preservation. However, like in most coastal regions, these coral reefs are facing multiple threats.
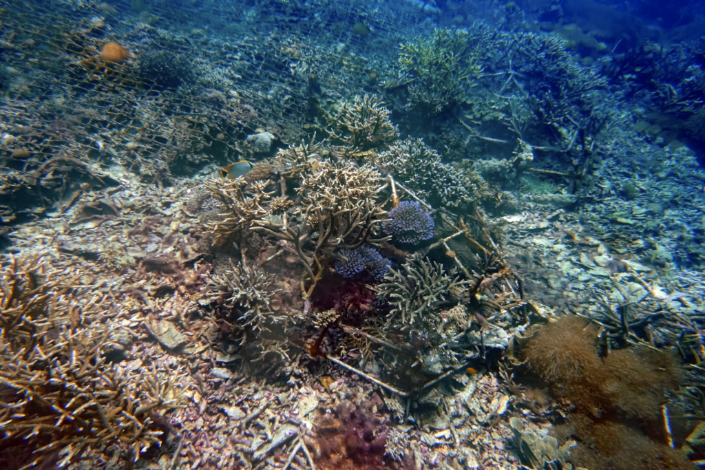
A lingering threat from the past: destructive fishing practices
With the introduction of destructive fishing practices in the 1980s, many fishermen turned to using dynamite or cyanide to catch fish, poisoning the reefs and threatening future livelihoods. The effect of these practices is still observable today, where dead coral rubble prevents recolonization of the reef because it is too unstable. It additionally poses a threat to nearby healthy reefs as it covers and kills coral colonies. Fortunately, the economy of the region has changed rapidly in recent years with the establishment of a marine protected area (MPA) network in 2007. This triggered a shift toward the tourism industry, which has significantly grown in the past decade – and is still exponentially growing.
Current threats: mass tourism, overfishing & coastal development
Raja Ampat is renown for its marine diversity, and most popular diving areas are now well over their carrying capacity of visitors. Going beyond this threshold means that the coral reef cannot persist without significant degradation. Direct effects can include damage from inexperienced divers and increased boat traffic, but it is also putting indirect pressure on the local reefs through overfishing, coastal development and pollution. On top of the direct damage, one consequence of these activities is the destabilization of local marine ecosystems, which leads to population outbreaks of the crown-of-thorns starfish (COTS), Acanthaster planci. This starfish species is native to the Indo-Pacific and feeds on fast-growing coral, which usually helps to keep reefs healthy. However, population outbreaks caused by overfishing of their natural predators and sewage runoff leads to unsustainable densities of COTS and prevent reefs from recovering fast enough.
Stabilizing dead coral rubble
Some damaged underwater slopes are covered by cascading dead coral rubble. By placing fencing on this rubble, we effectively stabilized an unstable surface and accelerated coral recolonization. We paired this method with rubble-stopping perpendicular fences in a zigzag pattern.
Modular underwater structures
Damaged areas often need a stable substrate for new coral colonies. We collected loose coral fragments destined to die and attached them onto modular artificial reefs. These structures provide a new life for coral fragments and their three-dimensional half-dome shape creates new habitat for marine life.
Crown-of-Thorns control
Many local communities face the decimation of their local reefs by Crown-of-Thorns population outbreaks. To address this, we directly removed or kill as many individuals as possible in affected areas. These localized controls contribute to avoid inevitable future degradation.
Outreach Activities
Sustainability & conservation
During our time in Raja Ampat, we raised awareness about the importance of sustainability and the preservation of natural ecosystems. Our goal was to promote a responsible stewardship of natural ecosystems and empower young community members to create a sustainable future.
Engaging the youth
To ensure a long-term impact from our projects and to contribute to a better world for future generations, we included an educational aspect to every project. A crucial facet of our presence in the region was the education and outreach programs that we fulfilled in multiple villages, schools and universities. In schools, we discussed topics such as coral biology, coral reef ecology, species interactions, sustainable fisheries and plastic pollution. Each topic was taught via lectures, interactive games and team projects, and was accompanied by practical activities, such as snorkelling, creation of a local coral garden or plastic waste cleanups.
Providing resources
Many remote communities in Raja Ampat lack the resources to provide enough learning supplies for their children. In communities we visited, we brought basic school supplies for each child participating in our educational activities. These included notebooks, pencils and erasers and equipped children with basic learning tools.


Success stories
We visited some of our restoration sites over the years and they all showed incredible coral growth and increases in diversity of marine organisms!


















A Friendly Farewell
We had a lot of fun doing these projects and learned so much along the way. Wide Open Projects is now dissolved, but we’ll always be grateful for the people, places, and partners who made it all possible.
Much love – Will, Omar and Phil









